фото и описание, где водится, как ловить

Уклейка — не большая рыбка относится к семейству карповых и ведет пелагический образ жизни в различных слоях воды, различных водоемов. Этот вид рыбы отличается собственным одноименным родом, в который входят некоторые близкие подвиды. Уклейка, кроме своего основного названия имеет ряд других, таких как верховодка, себель, силявка, баклейка, шаклея, верхоплавка.
Ошибочное название рыбки


Многие люди уклейку путают с названиями других видов рыб, скорее всего от незнания. Уклейку часто называют:
- Чебаком, название относится к сибирской плотве.
- Шпротами, а на самом деле это черноморская или балтийская килька.
- Белоглазкой, а на самом деле так называют рыбу сапу.
- Синявкой. Это название носит рыба горчак.
- Быстрянкой, которая обитает в реках с чистой, насыщенной кислородом водой.
- Верховкой, которую на самом деле, называют овсянкой.
Отличить похожих между собой уклей, верховок и быстрянок можно, если знать количество чешуи в области боковой линии: 52-55, 12-14 и 44-50. Существует ряд других признаков, связанных с размерами, поведением и другими факторами, по которым можно отличить этих рыбок.
Уклейка: описание


Уклейка – это маленькая рыбка, которая имеет короткий жизненный цикл, всего 5-6 лет, по сравнению с другими представителями семейства карповых, такими как карась, который может прожить до 12 лет, плотва с жизненным циклом до 20 лет, сазан, который живет порядка 35 лет. Максимальная длина уклейки порядка 15 см, при весе не больше 60 граммов. Хотя и редко, но встречаются более крупные, трофейные особи, весом до 100 граммов и длиной до 20 см. Для уклейки характерными считаются следующие особенности:
- Тело не высокое, но вытянутое, с почти прямой спинкой и слегка выпуклым животом.
- Хвост заканчивается большим темным плавником с глубоким вырезом.
- Бока уклейки сильно сжатые.
- Чешуя у этой рыбки имеет металлический цвет с зеркальным блеском.
- Спинка серо-голубая с оливковым оттенком.
- Брюшко светлое.
- Плавники отличаются пепельным или бледно-желтоватым оттенком.
Характерная особенность уклейки – ее чешуя легко снимается при контакте с твердой поверхностью. Поэтому, чистить эту рыбку несложно, достаточно перетереть ее с солью в какой-либо большой емкости.
Пелагические рыбы имеют классическую схему окраски – темный верх и светлый низ, чтобы защитить себя от донных хищников и от птиц в условиях яркого освещения.
Ловим Уклейку! Как БЫСТРО Наловить Уклейку для Приготовления Шпрот!
Watch this video on YouTube
Образ жизни


С ранней весны и до поздней осени уклейка (себель) держится на глубине до 70 см от поверхности воды. Ведет стайный образ жизни, поэтому перемещается по водоему большими стаями в поисках пропитания. В условиях, когда в водоеме водится хищная рыба, то уклейка формирует не большие стайки, которые не так заметны для хищников и более маневренные. Хотя рыбка и не большая, но она обладает не плохими спринтерскими показателями, что позволяет ей выживать в столь сложных условиях.
Уклейка выбирает чистые и глубокие участки, чтобы быстро уйти от атаки хищника. Поэтому уклейка не любит участков, заросших водной растительностью, которая является препятствием для быстрого перемещения этой рыбки.
Чтобы найти для себя пропитание, уклейка поднимается ближе к поверхности водоема, где она хватает на лету насекомых или старается сбить их брызгами. При этом она высоко выпрыгивает из воды. Она так же ведет себя и в пасмурные дни, когда стаи мошкары и других насекомых летают у самой поверхности воды из-за отяжелевших крыльев от влаги. Когда по каким-либо причинам насекомые оказываются в воде, то они тут же становятся пищей, как для уклейки, так и для других рыб. С приходом настоящих холодов уклейка (себель) перемещается на значительные глубины. Зимой уклейка находится в состоянии анабиоза и пережидает холода в зимовальных ямах рядом с другими представителями карповых. В таком состоянии она находится до самого ледостава.
Места обитания


Эта не большая рыбка обитает практически во всех водоемах, которые отличаются отсутствием сильных зарослей растительности, а также наличием не сильного течения. При этом она способна обитать в водоемах с различным температурным режимом. Она неплохо себя чувствует в водоемах с теплой и с холодной водой.
Спокойные равнинные речки отвечают всем условиям, в которых себель чувствует себя комфортно. При этом в водоеме должны присутствовать пологие берега и извилистое русло. Для уклейки не комфортно, когда вода не насыщена кислородом, а в водоеме много плавающих водорослей. В связи с этим уклейку никогда не встретить в прудах или озерцах со стоячей водой.
Рацион питания уклейки


Уклейка в основном питается зоопланктоном, который перемещается в толще воды и который отличается наличием основных кормовых ингредиентов. При этом уклейка может охотиться на некоторых насекомых, которые перемещаются в непосредственной близости от воды, на поверхности воды или оказываются в воде, упав с растительности. Например, это могут быть:
- Комары, мухи, мошкара.
- Долгоножки, мокрицы, толкунчики.
- Бабочницы, толстоножки, львинки.
- Стволоедки, фориды, тахины.
Когда осуществляется массовый вылет поденки, то уклейка питается исключительно этими насекомыми. Эта не большая рыбка может питаться так же пищей растительного происхождения, которая приносится течением, а также водорослями, хотя в небольших количествах. При этом уклейка не отказывается от предложенной ей наживки, в виде теста, навозного червя, мотыля или опарыша.
Как нерестится уклейка


По достижении длины порядка 5-7 см, что возможно на 2-м или 3-м году жизни, эта рыбка становится половозрелой. Когда температура воды поднимается до отметки +15-17 градусов, уклейка начинает метать икру на не больших глубинах, несколькими кладками (около 4-х). В каждой кладке может находиться от 3-х до 5-ти тысяч икринок. В условиях установившейся теплой погоды нерест может закончиться за несколько дней. Когда весна холодная и затяжная, то нерест может растянуться до месяца, а то и больше.
Уклейка отличается высокой плодовитостью, поскольку на один грамм веса приходится до 350 икринок. Икринки довольно клейкие, поэтому надежно удерживаются на растениях, на коряжнике и на любом другом, твердом основании. Икринки, в зависимости от погодных условий, развиваются на протяжении 7 дней максимум. Появившись на свет, мальки рыбы сбиваются в стайки и начинают питаться планктоном. За первый год жизни уклейка может вырасти до 5 см, набрав вес порядка 8 граммов.
Виды уклейки
Азовско-черноморская шемая считается ближайшей родственницей уклейки. Шемая вырастает в длину до 35 см и набирает вес до 800 граммов. Как правило, в уловах присутствуют особи, весом чуть больше 200 граммов. Шемая получила свое название благодаря прекрасным вкусовым качествам. В переводе с перского шемая – это царская рыба. Ареал обитания царской рыбы охватывает реки, входящие в бассейны Черного, Азовского и Каспийского морей, а также слабосоленые морские акватории этих же морей. В рацион питания шемаи входят насекомые, зоопланктон, ракообразные, черви, личинки и мелкая рыбешка, хотя в меньшей степени. Внешний вид шемаи практически ничем не отличается от уклейки, разве что размерами, более широким телом и оранжевым цветом грудных плавников.
Способы ловли уклейки


Поскольку уклейка (себель) не отличается существенными размерами, то для ее ловли нужна легкая поплавочная снасть с леской, диаметром 0,14-0,16 мм и поводком, толщиной от 0,1 до 0,12 мм. Из-за условий ловли не обязательно использовать более тонкий поводок, хотя можно обойтись без поводка вообще. Естественно, что понадобится легкий и чувствительный поплавок, вроде гусиного пера, весом не больше 3-х граммов. Крючки так же придется использовать достаточно маленькие, не больше №№16-20 по международной шкале. В качестве наживки можно использовать мотыля, опарыша или навозного червя, не большими фрагментами. Обычно глубина выставляется около 10 см (минимальная), поскольку себель предпочитает кормиться практически у поверхности воды. Уклейку можно поймать нахлыстовой снастью или спиннингом, взяв в качестве приманки муху или поденку.
Пойманную уклейку можно поместить дома в аквариум. Кроме этого уклейка может послужить прекрасным живцом для поимки более крупной хищной рыбы, поскольку она обязательно входит в рацион питания любой хищной рыбы.
Особого внимания заслуживают гастрономические данные этой не большой рыбки. Если из нее сделать консерву в томате или в масле, то это настоящий деликатес. Кроме этого уклейку можно коптить, вялить, жарить, тушить и т.д. Другими словами, не смотря на свои не большие размеры, из нее можно приготовить любое блюдо.
Ловля уклейки на поплавочную удочку – это захватывающее зрелище, поскольку поклевки следуют одна за другой. Если целенаправленно ловить эту рыбку, то без улова никогда не останешься. За час можно поймать сотни рыбок, от чего можно получить огромное удовольствие.
Содержание статьи:
- Размер уклейки
- Нерест уклейки
- Места обитания уклейки
- Образ жизни уклейки
- Способы ловли уклейки
- Блюда из уклейки
- Калорийность уклейки
Уклейка (верховодка) – пресноводные стайные рыбы семейства карповых. Рыба уклейка обладает продолговатым, сжатым по бокам, телом. Чешуя очень мелкая, зеленая на спине и серебристая в брюшной части. Плавники прозрачные, имеют желтоватый оттенок (ниже представлено фото уклейки).

По-видимому, свое название она получила из-за клейкой чешуи. Уклейка очень красивая, порою в прозрачной воде можно долго ею любоваться.
Размер уклейки
Размер уклейки имеет длину до 20 см, но в основном средние размеры 8-16 см, вес до 80 г. Рот немного расположен вверх, позволяющий рыбе брать корм с поверхности воды.
Нерест уклейки
Нерест уклейки идет при температуре воды 18-20 градусов со второй половины мая и до начала июля. Такое время нереста объясняется тем, что уклейка мечет икру в несколько сроков с временем между ними в 8-10 дней. При этом она образует большие стаи.

Кормится мелкими насекомыми и их личинками, а также пыльцой разных растений. Есть сведения, что выживаемость мальков уклейки составляет 0,2 %, но и этого хватает, чтобы эта рыба была самой многочисленной. Возможно, она является основной в рационе хищников, тем самым обеспечивая сохранность пищевой цепочки в природе.
Места обитания уклейки
Места обитания уклейки практически везде, кроме горных ручьев. Держится уклейка стаями, в основном в верхних слоях воды, особенно в жаркие дни. В ненастье и зимой находится в полводы. Но зимой уклейка ищет глубокие места и не любит быстрого течения. Обычно рыболовы ловят ее у мостов и свай. Рыба летом находится в тени под деревьями, но среди зарослей травы ее нет. Уклейка очень прожорлива, хватает все, что может проглотить. Может уничтожать не только икру, но и молодь другой рыбы. Двигаясь по водоему целыми косяками, уклейка так поедает быстро корм, что порою ее можно собирать сачком.
Основные виды корма уклейки:
- личинки комаров и мушек;
- икра мелких рыб;
- жучки и комары.
Рыба уклейка — стайная. В некоторых озерах со слабым течением, водохранилищах, в тихих заливах можно наблюдать большие стаи этой рыбы. Эта рыба не так пугливая, как очень любопытна. Ее можно собрать даже пригоршней песка. Этот звук песка о воду и муть от него привлекают уклейку не хуже, чем хлебный кусочек.. И если рыболову удается собрать около себя стаю, то при определенном опыте улов будет хороший. Найти стаю уклейки нетрудно, там, где она кормится, по воде расходятся круги, как от дождя. И если рыболов находится на высоком берегу, то можно ловить и без поплавка – только внимательно наблюдать за насадкой.
Образ жизни уклейки
Уклейка ведет стадный образ жизни. Хотя ее распугивают щука и окунь, они также не против подкрепиться уклейкой. Одной из особенностей данной рыбы то, что она является самой многочисленной из всех рыб. Уклейка находится везде – от малых ручьев и до больших озер и рек. Любит песчаные и галечные места с большим количеством кислорода. И она может жить во всех искусственных и естественных водоемах. Приспосабливается к небольшой повышенной солености воды. Надо сказать, что озерная уклейка по размерам немного больше речной.
По поведению в воде – это очень активная рыбка. Свое движение она показывает на поверхности воды, может выпрыгивать за насекомыми.
Способы ловли уклейки
Некоторые рыболовы пренебрегают уклейкой. И это напрасно. Спортсмены оттачивают мастерство именно на этой рыбе. Если сюда добавить вкусовые качества, то ловля уклейки становится не только интересной, но и полезной. Способы ловли уклейки состоят в основном из обычной поплавочной удочки, оснащенной леской 0,14-0,16 мм, так же ловят поводком 0,08-0,12 мм, легким грузилом и крючком No22-16 (международная нумерация). Но применяя легкие спиннинги, можно достать уклейку далеко от берега.

Подбирая снасть на уклейку, большое внимание надо обратить на соотношение веса поплавка и грузила. Первое условие – поплавок обязан быть очень чувствительным. Огрузка его должна быть такой, чтобы при небольшом прикосновении к приманке поплавок скрывался под водой. Ловят уклейку в предрассветное время и после вечерних сумерек. Можно забрасывать приманку без грузила. После заброса кончик удилища поддергивают и тянут приманку к себе. Здесь и происходят поклевки. Клев уклейки тянется в течении всего дня. Но более интенсивным он бывает с рассвета до 8 часов и вечером с 18 до 22 часов. При ловле этой рыбы часто используется прикормка, которой можно собрать и держать стаю в одном месте. Прикормкой в стоячей воде являются сухари, или корочки черного хлеба. Также применяют смесь речного песка и корм для рыбок в аквариуме. Для насадки при ловле уклейки подходят тесто, геркулес, хлеб, перловка, червь. Но самой удачной является мотыль (одевать следует по 2-3 личинки). А в разгар весны, летом и осенью – мелкий опарыш (одевают не более 2-х личинок). В самый разгар жары уклейка может не брать животные насадки, тогда ей надо дать тесто. Но надо не забывать, чем меньше насадка, тем успешней лов.
Ловля уклейки осенью имеет свои правила. Дело в том, что в это время года рыба уходит на глубину. Найти ее можно на глубине от 1 метра. И обычно берет насадку у самого дна. Время клева также изменяется. Порою бывает на закате, порою на самом рассвете, но изредка в середине дня. Имея отличные гастрономические качества, эта рыба имеет еще одно достоинства: является превосходным живцом. На нее хорошо ловятся все хищные рыбы.
Блюда из уклейки
Очень распространенный рецепт приготовления уклейки является «уклейка пряного посола». Как солить уклейку? Не удаляя внутренности, рыбу моют и чистят от чешуи, засаливают, укладывая слоями. Вместе с солью посыпают перцем и лавровым листом. Ставят на 6 часов в закрытой посуде, потом размещают на сутки в холодильник. Очистку от внутренностей производят перед
употреблением.

Калорийность уклейки
Уклейка — полезная рыба для модниц, для тех, кто следит за своей фигурой. Содержится до 12 процентов жира. Диетологи советуют употреблять ее, в жареной и вареной форме калорийность соответственно 145 и 95 ккал.
Содержимое обзора:
Уклейка (или уклея) – самая обыкновенная и распространенная рыба. Согласно научной классификации эти рыбы относятся к классу лучеперых, отряду карпообразных, семейству карповых. До настоящего времени не проведена окончательная систематика данного вида, выделяют более 10 подвидов, но их обоснованность подвергается сомнению.

На территориях бывшего СССР рыба имеет другое альтернативное название: на Украине ее могут называть как сабель или чебанчик, в Литве – аукшле, в Саратовской области – баклешка, в Астрахане — дергунец.

Латинское название рыбы «аlburnus alburnus» в переводе означает — «белая», «ясная». Кстати, в Италии есть гора Альбурн (Alburnus), название которой переводится как Сияющая. Наша рыба действительно тоже сияет, это помогает представить, как выглядит уклейка.

Вид уклейки
Окраска покровительственная (пелагическая). На фото рыбы уклейки темноватая спина, серебристые бока и брюхо делают ее малозаметной для донных и водоплавающих хищников. Плавники (спинные и хвостовые) также темные, а остальные имеют желтовато-красноватый оттенок.

Благодаря скошенности рта, рыба способна питаться у поверхности воды. Глаза большие. Глоточные зубы имеют форму зазубренности и на концах изогнуты.

Обратите внимание!
Что касается особенности описания рыбы уклейки, то здесь следует отметить ее тонкую серебристую чешую. При прикосновении к телу рыбы, чешуя практически отпадает, уклеивая рыбаков и их лодки. Возможно и отсюда одно из русскоязычных прозвищ.
Популяция рыбы
Согласно данным атласа пресноводных рыб ареал семейства уклейки включает западную и восточной Европу. Вид широко представлен в бассейнах всех морей европейской части (Балтийского, Черного, Белого, Азовского, Каспийского) она известна на Северной Двине, на Урале, на Волге, в реках Кавказа. Как отмечают специалисты-ихтиологи, данный вид отмечен в водоемах Западной Сибири, Обь-Иртышского бассейна.

Уклейка хорошо выживает практически во всех естественных и искусственных водоемах. Она приспосабливается даже к водам, имеющих небольшую степень солености и ее можно завести в домашних условиях, вырыв пруд или запустив в аквариум.

Средний размер рыбы достигает в длину от 19 до 20 см, при массе от 20-26 граммов, крупная уклейка весит до 60 граммов. Согласно имеющимся исследованиям возраст рассматриваемых пресмыкающихся может составлять до 12 лет.

Согласно статистике, сезонная выживаемость мальков составляет не более 0,2%, однако и этого числа достаточно, чтобы быть одной из самых распространенных рыб.

Относительно малая выживаемость молоди объясняется тем, что рыба является основной пищей в рационе хищников (щуки, судака, окуня и др.). Уклейка входит в пищевую цепочку, ее плодовитость обеспечивает выживаемость других видов рыб.
Обратите внимание!

В зависимости от среды обитания наблюдаются морфологическая изменчивость уклеек, так средняя озерная рыба имеет больший вес, более круглое тело по сравнению с речной.

Поведение рыб
Рыбы держатся косяками в верхних слоях воды при слабом течении, выбирая освещенные участки, где они более незаметны. Сформировавшиеся рыбы в основном питаются планктоном, водными личинками.
Имея способность к прыжкам, они могут достать и воздушных насекомых. Отмечено поедание икринок как своей, так и других рыб. Растущие особи питаются тонкими водными растениями и зоопланктонами.

Откладывание икры начинают после 3 лет жизни, основной период нереста: май-июнь, когда вода нагревается свыше 16 градусов. Процесс нереста происходит периодически с промежутками времени до 11 дней, общее количество икринок может достигать от 4 тысяч до 11 тысяч.

Икра оседает на подводной растительности, гальке и камнях. Инкубационный период икринок составляет 70-80 часов при оптимальной температуре воды свыше 21 градусов тепла.
Обратите внимание!

С понижением температуры рыба начинает уходить от поверхности воды на небольшую глубину водоема, редко выплывая наверх. Зимой образ жизни рыб кардинально меняется, прекращается их активность. Для зимовки выбирают ямы на небольшой глубине, где собираются стаями.

Рыбалка на уклея
В настоящее время ловля уклейки не носит промысловый характер, считается сорной рыбой из-за маленького размера, удят уклейку на уровне любительского иногда и спортивного рыболовства.

Уклейка не имеет охранного статуса, популяция и вылов уклейки государством не контролируется и не охраняется. Ранее, до 40-х годов прошлого столетия в некоторых регионах уклея добывали в промышленных масштабах, из чешуи рыбы изготавливали искусственный жемчуг.

На вопрос где же все-таки ловят уклейку, можно сказать, что, учитывая высокую распространенность рыбы, ловить ее можно везде, где есть естественный или искусственный водоем (в реках заливах, озерах, бухтах, водохранилищах и др.). Опытные рыбаки советуют забрасывать удочку на уклейку с обрывистых берегов, мостов, плотов или с лодки.
Летом для рыбалки лучше выбирать глубинные места с небольшим течением, при этом насадка должна быть недалеко от поверхности воды.

Рыба будет ловиться везде, в любом месте водоема, но наиболее она концентрирована около мостов, купален, около берегов с древесной растительностью. Рыбу привлекают и места городских сток, ее можно ловить прямо в городской черте.

Уклейка клюет в соответствии со своим весом и характером, наживку может дергать часто, но не сильно. Поэтому для хорошего улова уклейки необходим опыт и определенная сноровка. Для ловли уклейки достаточно иметь обычную поплавочную удочку с маленьким крючком.

Зимой рыба находится на глубине, и чтобы ее поднять со дна и поймать, необходима прикормка. И для удачной ловли важно угадать места зимовок, так как уклейка от этого места далеко уплывать не будет.

Фото уклейки






























Также рекомендуем просмотреть:
Уклейка — рыба мелкая пресноводная семейства карповых, обитающая в верхних водяных слоях. Обычная её длина 12-15 см, редко достигает 20 см. Ловля уклейки — увлекательное занятие. Эта стайная рыба, поэтому когда начинается поклёвка, улов может достигать нескольких экземпляров в минуту.
Историческая справка
Согласно классификации Л.П.Сабанеева, русского зоолога, организатора рыболовного дела, в разных регионах Российской Империи XIX века уклейка называлась по-своему:
- бакля, баклешка — в Саратовской губернии;
- верхоплавка, верховодка — в Твери и Серпухове;
- название «синтя», «сентя», «сентявка» использовали жители Татарстана и Ульяновской области.
- «Сибиль», «себель», «сибель» до сих пор употребляется бывалыми рыбаками Ростовской, Брянской, Курской, Воронежской области, Луганской области на Украине и Гомельской в Беларуси.
Галерея: рыба уклейка (25 фото)
Описание
Внешние особенности
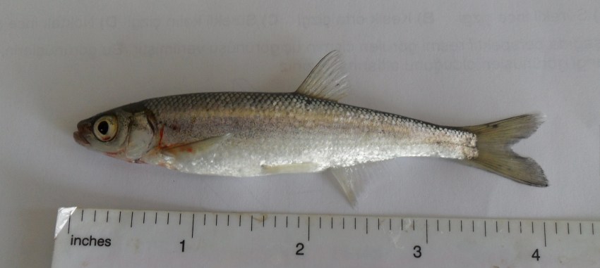
Корпус уклейки удлинённый, узкий, сжатый с боков, светло-серебристого металлического цвета, красиво играющего в солнечных лучах. Её особенность — тонкая мягкая чешуя, легко отделяющаяся от туловища и остающаяся на руках рыболова буквально обклеивая их. Вероятно, название рыбы связано с этим фактом. Спина рыбёшки тёмная, плавники светлые почти прозрачные. Нижняя челюсть загнута вверх. Вес достигает 60 гр, но попадаются и особи 100 гр.
Места обитания
Живёт уклейка в водоёмах с пресной или солоноватой водой, таких как устья рек. Она встречается в реках Азовского, Балтийского, Каспийского, Белого морей, озёрах и прудах Европейской части России, в Крыму и на Кавказе, в реках Франции, Германии.
Стаи уклейки обычно держатся в зарослях камыша и тростника, в верхних слоях воды на глубине не более 0,7 м. В ясный день её легко увидеть у самой поверхности. Вероятно, отсюда пошло старинное название верховодка. В светлое время суток уклейка постоянно в движении, снуёт в поиске пищи, замирая в зарослях травы только на ночь.
Предпочтительные места для уклеек — заливы и заводи с несильным течением. Часто держится рядом со сваями, мостами, купальнями, плавают под нависшими над водой ветвями. Поздней осенью уклейка уходит на дно водоёма, зимует она в глубоких ямах.
Также рекомендуем прочитать:
Нередко маленькая, плавающая на поверхности рыба, становится лёгкой добычей птиц.
Питание
Несмотря на малые размеры уклейка довольно прожорлива. Её главным лакомством являются мухи и другие насекомые, планктон, икринки, личинки, мальки. Иногда после заката можно увидеть, как уклейка выпрыгивает из воды: сначала она передвигается в одну и в другую сторону, потом резко переворачивается набок, сгибает корпус, ударяет по воде хвостом и описав полукруг в воздухе, падает обратно в воду. Этот приём направлен на добывание пищи: возле воды в это время роятся тучи комаров и мошек, обрызганные водой, они падают на поверхность, где становятся добычей рыб. Таким же образом уклейка действует, завидев хищника, окуня, щуку или жереха, любителей полакомиться мелкой рыбой.
Нерест
Нереститься уклейка начинает с 2-летнего возраста. Процесс начинается в начале мая в южных районах, на Севере — к концу месяца, длительность нереста иногда затягивается почти до середины июля, в зависимости от погодных условий. По словам Валдайских рыбаков, уклейка мечет икру три раза: первый — во время цветения черёмухи, второй — когда колосится рожь и третий — когда она наливается. Сначала нерестятся крупные особи, через 2 недели двух и трёхлетние.
Условия, необходимые для нереста
- температура воды 14-15 градусов
- солнечная погода на протяжении 3-4 дней
Если погода ненастная, процесс прекращается и возобновляется после установления нужной температуры.
Места для выметывания икры уклейка выбирает тихие, в неглубокой воде или у самого берега, на солнечном месте, на траве, редко на камнях. Предпочитает плавуны и трясины, поросшие папоротником, к подводной части которого крепят свои белесые икринки. Готовящиеся к нересту особи передвигаются огромными вереницами около берега, не выпрыгивая из воды. Те, кто полностью готов, уходят под берег, в корни папоротника, при этом слышится плеск и происходит некоторое движение. В густой траве рыба часто погибает, запутавшись в ней, а свежевыметанные икринки нередко поедаются более крупной рыбой, например, краснопёркой.
Молодняк появляется спустя 7-8 дней. Первое время корни становятся его убежищем, затем мальки плавают около берега, между растениями. Питаются они зоопланктоном и микроскопическими водорослями. Через год мальки заметно увеличиваются в размерах, достигая длины 6,5 см.
Ловля
Активный клёв происходит с начала мая и длится до конца октября. В сентябре и октябре поклёвка происходит на глубине, но не становится менее активной. Уклейка не представляет большой промысловой ценности. Часто используется как наживка для более крупной рыбы: судака, щуки, жереха.
Прикорм
Для начала ловли необходимо разбросать прикормку. Её изготавливают на основе отрубей с добавлением овсяных хлопьев, толокна, крупно намолотых сухарей. Такая смесь дольше всего не опуститься на дно, создавая мутное облако в воде, куда и забрасывают удочку.
Снасть
Правильно подобранные снасти — залог успешной ловли. Чтобы наловить уклейки, используется лёгкое гибкое удилище длиною 4-5 м с мягкой верхушкой. Такой удочкой легче произвести быструю подсечку. Леска используется тонкая (0,08-0,10 мм), крючок некрупный (№ 14-18). Подойдёт крючок с длинным цевьём и боковым загибом, который лучше засекает при быстрых поклёвках мелкой уклейки, его проще извлечь.
Грузила используются из нескольких дробинок, равномерно распределённых по леске, что позволяет контролировать наживку после заброса. Поплавок выбирается в зависимости от глубины заброса: в приповерхностных слоях — бескилевой, на глубине более 70 см — килевой.
Наживка
В качестве угощенья беспроигрышным вариантом будет опарыш, комнатная муха, мотыль. Хорошо клюёт на червяка, но срывается при этом чаще.
Техника ловли
Уженьем уклейки занимаются обычно при недостатке другой, более ценной рыбы. Для начинающих рыболовов эта рыба имеет воспитательное значение: с её помощью рыбак тренируется выполнять быструю и лёгкую подсечку. Уклейка берёт наживку молниеносно, и если подсечки не последовало, наживка сшибается ею. Но, если манёвр произведён резко и слишком сильно, верхняя губа рыбы может не выдержать и оторваться.
Удобнее ловить с моста, крутого берега или плота. Налетая на наживку, рыба уводит поплавок резко в сторону. Верным будет при этом чуть подать удилище вперёд, не вынимая леску из воды. Обладая некоторой сноровкой, удаётся выуживать одну за одной.
Употребление в пищу
Издавна уклейка употреблялась только простолюдинами, только при недостатке другой рыбы. Сухая консистенция делает её непригодной для ухи. Вкусна в копчёном, вяленом виде, изжаренная в сметане.
Интересный факт
Из чешуи уклейки добывалась во Франции восточная эссенция, применявшаяся для окраски искусственного жемчуга. Впервые этот способ был разработан в Китае, отсюда его название. Суть в том, что большое количество чешуи помещали в воду, перемешивая до тех пор, пока серебристая плёнка не отделится и не осядет на дно. Затем чешуйки вынимали, сливали основную часть воды, а очищенную от примесей серебристую жидкость смешивали с рыбьим клеем. Получившийся состав использовался для изготовления высококачественного жемчуга.
Уклейка обыкновенная — проворная небольшая рыбка, водится повсеместно в реках и озерах средней полосы. Вероятнее всего, свое название она получила из-за легко осыпающейся чешуи, которая буквально прилипает к рукам, «оклеивает», стоит только ее взять.
В разных регионах России и странах бывшего Союза можно встретить похожие названия рыбы – уклея, селява, баклейка, силявка, верховодка, верхоплавка, шаклея и прочие. В ихтиологии рыбка относится к семейству карповых и имеет латинское название – Alburnus alburnus.
Уклейка, описание рыбы
Уклейка имеет характерную для рыб обитающих в толще воды пелагическую (верх — светлый, низ — темный) окраску. Спинка рыбешки серая с зеленым отливом, вытянутое брюшко и сжатые бока светлые.
Чешуя нежная, мелкая и серебристая. Хвост и спинной плавник темно-серые, а грудные, брюшные и анальный плавники светлее.
Рыба уклейка на картинке и в естественной среде обитанияВ зависимости от среды жизни наблюдаются морфологические изменения. Так, озёрная уклейка крупнее речной, у нее более высокое тело, а речной присущи более низкие и удлиненные формы.
Растет скоро, но обычно не достигает длины 15 см. Весит не более 40-60 грамм. Продолжительность жизни по разным описанным данным составляет от 5 до 9 лет.
При повышенной плотности хищников, особенно в закрытых водоемах, жизнь уклеек может сокращаться до 3-4 лет.
Численность и распространение
Рыба уклейка повсеместно многочисленна.
Молодь отличается высокой смертностью из за мощного биотического пресса жереха, щуки, окуня, судака и берша.
Однако, несмотря на сезонную выживаемость мальков всего около 0,2%, относительная численность ее молоди к концу теплого периода остается в числе первых, уступая по численности лишь окуню.
География ареала обитания очень значительна. В России и на территории стран постсоветского пространства европейского материка распространена по рекам Балтийского и Белого морей. Большая популяция рассредоточена в бассейнах Северной Двины, Черного и Азовского морей, акватории Каспийского моря.
Населяет многие естественные и искусственные водохранилища и пруды.
Биология уклейки
В популярной литературе описание повадок и инстинктов носят рыболовно-практический оттенок, но в биологии она строго классифицирована.
По систематике вида уклейка обыкновенная относится к семейству карповых, роду уклеек.
Из отличительных признаков присутствуют большие глаза и конечный рот, направленный косо вверх. Нижняя челюсть выступает вперед. Глоточные зубы двухрядные, изогнуты на концах и имеют зазубрины.
Характерен заостренный кожистый киль без чешуи, расположенный между брюшным и удлиненным килевым плавником. В боковой линии от 45 до 55 чешуек, а достаточное количество жаберных тычинок от 17 до 22 позволяют фильтровать фитопланктон.
Фото галерея уклеек
На фото весенняя уклейка из озера, выловленная погожим майским утром самодельной удочкой.
Среда обитания
По водоему распределяется и мигрирует исходя из степени освещения, чем более хорошо освещен тот или иной участок, тем вероятнее всего там будет находиться уклейка. Днем предпочитает держаться вдали от берегов на солнечных, не затененных местах, с появлением сумерек уходит на прибрежное мелководье.
Водится в речках, выбирая тихие участки, а также в проточных водохранилищах и озерах, реже в прудах.
Требовательна к содержанию кислорода в воде и почти не встречается в заросших растительностью, особенно затянутых ряской и водорослями водоемах.
Значительную часть года уклейка проводит в верхних и средних горизонтах и только позднюю осень и зиму пережидает на дне в ямах. Неплохо приживается в аквариумах. Часто встречается на быстром течении мелких речек.
Взрослые особи держатся поглубже, собираются стаями на чистых, не затененных участках водоема.
Молодые рыбки наоборот, сосредотачиваются в мелководной прибрежной зоне и среди подводной растительности.Там они находят корм и укрываются от хищников.
Поведение уклейки
Поведение уклеи зависит от времени года, погоды, состояния и биологической активности, кормовой насыщенности акватории, наличия хищников и видовой популяции. Ее не сложно обнаружить в ясную, солнечную погоду, когда она плавает у поверхности, гоняясь за насекомыми, планктоном или другими водными организмами.
Уклейка очень активна. В дневное время пребывает в постоянном движении.
Лишь ночью замирает неподвижно у надводных зарослей, под ветвями прибрежных деревьев и кустарников или на слабом течении и «оживает» только к рассвету.
Именно непрестанное движение зачастую спасает их от неминуемой смерти, не редко можно увидеть, как они врассыпную убегают от преследования выпрыгивая из воды.
Сезонный и суточный ритм питания уклейки в природе аналогичен всем рыбам семейства карповых. В рационе питания преобладают личинки хирономид, зоопланктон, фитопланктон, а в период лета насекомых (поденка, казара, комары и др.) может переходить только на них. Образует стаи, или косяки, в большинстве крупных рек является основной добычей в рационе хищников — преимущественно жереха и окуня.
Видео уклейки
Ловля уклейки
В промышленном масштабе ценности не представляет и массово не ловится. Попадается в уловах промысловиков как сорная рыба.
Природоохранными организациями не охраняется, вылов не контролируется.
В любительском и спортивном рыболовстве уклейка занимает достойное место из-за своей вездесущности и многочисленности.
Ловля юркой рыбки не проста, вследствие резкой, ненадежной атаки насадки и сложности своевременной подсечки, требуется хорошая реакция рыболова.
Рыбалка на уклейку популярна, интересна и добычлива, особенно весной когда другая рыба еще не клюет или действуют нерестовые запреты.
Для ужения берут легкую поплавочную удочку, с обычной оснасткой на уклейку состоящей из лески, поплавка и грузика или без них, и крючка. В качестве наживки используют насекомых, личинок, хлеб, тесто и другие насадки. «Любимая» наживка — опарыш (личинка мясной мухи). Ловится не только в теплую пору года, но и со льда зимними снастями. Часто уклейку цепляют за спинку в качестве живца.
Нерест уклейки
При достижении двухлетнего возраста и длины 10-13 см уклейка способна размножаться. Начинает нереститься в начале мая и заканчивает в июле, сроки нереста могут изменяться по регионам.
Икру мечет перерывами, через 10- 15 дней. О нересте уклейки можно прочитать подробнее в статье на нашем сайте.
Кухня
Мясо рыбы уклейки довольно сухое, содержит примерно 12% жира. В гастрономическом плане не очень привлекательна, за исключением вяления, таранка из нее получается отменная — вкусная и жирная.
Довольно вкусная жареная в сметане или просто с зеленью. Тушат, консервируют, готовят из нее «домашние шпроты», добавляют в уху.
Более подробно прочитать о повадках, поведении, ловле, нересте, клеве уклейки и многом другом можно в нашем блоге.
Рыба уклейка описание и фото
Уклейка относится к классу костных рыб, к отряду карпообразных, к семейству карповых и к виду уклеек. Однако, в каждой местности у этой верткой маленькой рыбки есть свое народное название. Вот некоторые, наиболее часто встречающиеся названия уклейки:
- Себель;
- Уклея;
- Камса;
- Силявка;
- Шклей.
Описание уклейки
Тело уклейки продолговатой формы, сильно сдавленное с боков. Чешуйки очень маленькие, серебристые с сине-зеленым отливом, легко слазят. Бока и брюшко светлые, а спина серовато-зеленая. Плавники практически прозрачны. Анальный плавник незначительно удлинен. Голова стремительно заострена. Глаза не соразмерны телу, большие. Рот оконечный, направлен вверх. Растет рыбка примерно до двадцати сантиметров, при этом, вес не достигает двухсот граммов. Живет при этом около десяти лет.

Где обитает
Встречается уклейка практически в любом пресноводном водоеме с чистой водой, будь то река или водохранилище, озеро или проточный пруд. Обитает она как в Европе, так и в Азии. Рыба всегда держится вместе, практически у самой кромки. В летний период играет, выпрыгивая из воды. В светлое время суток уклея находится в непрерывном движении. Ночует возле берега, прибившись к зарослям.
Чем питается
Кормится уклейка преимущественно на открытых участках водоемов с небольшим течением. Рацион крупной рыбы составляют:
- Упавшие в воду, воздушные насекомые;
- Планктон;
- Икра, как своя, так и других видов рыб;
- Личинки;
- Мальки.
Нерест уклейки
Уже с третьего года жизни уклейка готова к размножению. Длина тела при этом составляет всего восемь сантиметров. Нереститься с мая по июль, как только вода прогреется до шестнадцати градусов. Икра откладывается порционно от трех до шести раз. Интервал между кладками приблизительно десять дней. Для нереста уклейка выбирает мелководье. Столб воды не превышает сорока сантиметров. Икра выметывается преимущественно на растительность. Вылупившаяся молодь питается микроводорослями и зоопланктоном.

Ловля уклейки
Большинством рыболовов уклейка считается сорной рыбой. Иногда ее используют в качестве живца. Ловят уклею на легкую поплавочную удочку. Рыба очень пронырливая и, чтобы ее успешно ловить, желательно ее как-нибудь заинтересовать. Даже брошенная в воду горсть песка может привлечь стайку. Поклевки неясные и стремительные, нужно уметь вовремя подсекать. При выуживании уклейки рыболов практически всю чешую оставляет на руке. Чешуя словно наклеивается на руку. Вероятно, поэтому рыбка была названа именно так.

Основной сезон рыбалки на уклейку обычно начинается весной с момента схода льда с водоёма. Кое-где еще лежит снег, а рыбаки уже расположились вдоль берега. То тут, то там после удачной подсечки на леске сверкает белым серебром небольшая рыбёшка. Начало летнему лову положено!

Краткое содержимое обзора:
Хороший клёв бывает и досадой
Нашим рыбакам уклейка хорошо известна. Она относится к семейству карповых и встречается почти во всех регионах России. Эта рыба часто охотится на кружащихся и падающих на поверхность воды насекомых, поэтому в народе её ещё называют верховодкой.

Не все рыбаки её любят. Во-первых, она мелкая. Взрослые экземпляры достигают размера 25 см и весят чуть больше 100 граммов. А во-вторых, она мешает рыбалке на крупную рыбу бесконечными поклёвками и объеданием наживки. Особенно часто это бывает при ловле уклейки летом.

Живёт уклейка не более шести лет. Стайки рассредотачиваются вдоль всего побережья водоёма, вне зависимости от глубины. Предпочтение отдаётся чистой воде, вдали от водорослей и коряг.

Клёв от зари и до зари
Вопреки устоявшемуся среди рыболовов мнению, что лучший клёв всегда можно застать только на утренней или вечерней зорьке – к ловле уклейки это не имеет никакого отношения. Вы можете закинуть удочки в обед, либо приехать на водоём сразу после работы.

Если идёт сезон ловли уклейки – без рыбы не останетесь! Такая рыбалка особенно по душе начинающим рыболовам и детям.

Фото уклейки как удачного трофея можно увидеть на многих страничках школьников в соцсетях.
Когда вы рассматриваете техническое различие между фотографией и картиной, различие кажется очевидным — фотография фиксирует определенный момент времени в реальном мире, в то время как картина представляет собой построенное визуальное представление без временных ограничений. Фотография «настоящая», а картина — «искусство». Но, как может засвидетельствовать любой фотограф, эти определения строго ограничены. С одной стороны, если картина может вызвать у вас слезы или спровоцировать новые идеи, почему это не реально? А с другой стороны, если фотография может быть составлена точно и передать столько же эмоционального воздействия, сколько картина, то почему это не искусство? Вот почему мы просмотрели нашу коллекцию, чтобы найти фотографии, похожие на картины.
Граница между объективной реальностью и искусством продолжает стираться, поскольку технические достижения позволяют фотографам получать потрясающие изображения с помощью специализированных процессов, которые изменяют, редактируют или фильтруют изображение под рукой. Как показывают следующие фотографии, единственное истинное различие между фотографией и картиной — это инструмент, используемый для их создания.
Изучите девять фотографий, похожих на картины ниже.
1. Ледяная пещера на леднике Ватнайёкюдль, Исландия
Изображение Bon AppetitХрабрые фотографы часто путешествуют в дальние уголки земного шара в поисках идеального снимка.Эта конкретная фотография была сделана глубоко в ледяной пещере на леднике Ватнайёкюдль. Безусловно, самый большой ледник в Исландии, ледник Vatnajökull образовался тысячи лет назад и занимает удивительные 5500 квадратных миль. Искатели острых ощущений могут отправиться в походы и походы по ледяным пещерам, но погода и рельеф местности могут продлить один поход до пяти часов.
На фотографии прослеживается изысканная красота местности — контраст гладкого потолка и пересеченной местности хорошо сочетается с равномерным распределением противоположных цветов.Эта фотография — работа Bon Appetit, известного прежде всего рекламными роликами фаст-фуда и другой атрибутики ресторанной индустрии.
2. Приморское Деревянное Здание в Лабуане, Малайзия
Изображение СазалиНекоторые из самых ярких, увлекательных изображений можно сфотографировать в окружающем нас мире. Все, что нужно, это взгляд вдохновленного фотографа (и великолепный восход), чтобы запечатлеть яркие цвета и живописные качества. Эта поразительная симметричная фотография надводного бунгало была сделана на острове Лабуан, федеральной территории Малайзии.Данное здание выступает от побережья за рестораном морепродуктов Nagalang. Сравните изображение здания на Google Картах с этой фотографией, чтобы понять, какую роль играет художник в создании и отражении своего видения окружающего мира.
Эта великолепная фотография была сделана Сазали, независимым фотографом, работающим в сфере свадьбы и событий, базирующимся в Малайзии. Сазали увлекается пейзажной и природной фотографией, фокусируясь на цветах, морских пейзажах и разнообразных объектах.
3.Макро фотография одуванчика
Изображение от hofhauserВы можете подумать, что это изображение является абстрактной иллюстрацией или картиной, но на самом деле это макрофотография одуванчика. Макросъемка — это экстремальная съемка крупным планом, которая увеличивает объект съемки, позволяя зрителю видеть обычные вещи, которых они никогда раньше не видели. Достижения в области цифровой фотографии сделали макро-фотографию доступной для энтузиастов, которые стремятся исследовать это ремесло при скромном бюджете.
Мы привлечены к этому изображению из-за его сказочного качества.Парашюты волос одуванчика, даже когда они очень сильно взорваны, мягкие и нежные. Травяной фон проникает сквозь кожу, насыщая изображение яркими зелеными, голубыми и коричневыми оттенками.
Shutterstock фотограф hofhouser отвечает за этот пример фотографического волшебства. Помимо фотографирования макрофотографии дождя и павлиньих перьев, фотограф из Венгрии любит создавать цифровые иллюстрации и фоны.
4. Бурная ночь в Венеции, Италия
Изображение КертаКартины настоящих мастеров создают ощущение глубины и передают особое настроение, которое охватывает их предмет.Здесь пустынная аллея в Венеции изображена зловещей — совершенно жуткой — в бурную ночь. Глубина и движение занимают центральное место, однако — вся фотография имеет особую рамку, чтобы продвинуть зрителя вниз по освещенному переулку в глубину шторма на горизонте. Мы бессильны сопротивляться.
Изображение было снято автором Kert. Предметы Курта сильно различаются — они увлекаются архитектурой, едой, модой и путешествиями.
5. Влюбленные в флуоресцентный порошок
Фото Давида ТадевосянаНа этом привлекательном портрете запечатлены два человека, которых называют «любовниками», которые обнимаются, пока покрыты флуоресцентной неоновой краской.Комбинация краски, черного света и тщательной композиции превращает это изображение в то, которое можно легко принять за иллюстрацию или картину.
Дэвид Тадевосян, фотограф и видеооператор, базирующийся в Украине, отвечает за этот арестный снимок.
6. Водяная лунка в национальном парке Этоша, Намибия
Изображение ArtushФотографии, которые выглядят как картины, не всегда включают яркие визуальные эффекты или сюрреалистические цвета. Эта величественная фотография зебр и антилоп, мирно разделяющих водопой с африканским слоном, говорит о художественных (и зоологических) объемах.Изображение было получено у водопоя в обширном национальном парке Этоша, охраняемой территории в Северной Намибии, которая содержит разнообразные ландшафты и разнообразную драгоценную дикую природу, включая носорогов, жирафов, слонов, страусов и львов.
Автор Shutterstock Артуш сделал эту интригующую фотографию. Артуш, фотограф дикой природы и путешествий, который называет Чешскую Республику домом, Артюш делает захватывающие фотографии животных и пышных пейзажей по всему миру.
7.Воздушный лес в канун Рождества, Россия
Владимир МельниковЕсли бы мы все могли получить доступ к вертолету, чтобы сделать превосходные снимки сверху! К счастью, появление технологии дронов сделало этот идеальный воздушный снимок доступным для многих фотографов. Эта фотография была сделана, когда солнце скрылось из-за покрытого снегом зимнего леса в отдаленной части России. В то время как большинство изображений заката получено с земли, этот горизонтальный вид с высоты обзора обеспечивает другую перспективу и потрясающую композицию, которая выделяет широкий градиент оранжевого, синего и серого.
Владимир Мельников, фотограф, который сделал снимок, базируется в России, где они также работают пилотом местной авиакомпании.
8. Лесная дорога в Трансильвании, Румыния
Изображение andreiuc88Многие фотографии кажутся картинами, потому что они легко вызывают сложное настроение или чувство одним взглядом. Так обстоит дело с этой жуткой фотографией пустынной тропы в густом лесу в Трансильвании, Румыния. Сочетание тумана, редких цветочных клумб и слабой освещенности создает ощущение страха.
Эффект здесь не случаен — фотограф, andreiuc88, является экспертом, когда дело доходит до капризной атмосферной фотографии. Фотограф природы, базирующийся в Трансильвании (литературном доме Дракулы), andreiuc88 создает разнообразные кошмарные пейзажи.
9. Осенний сад в Париже, Франция
Фото Дмитрия ЗиминаДаже неотфильтрованные неотредактированные фотографии могут выглядеть как настоящие картины. Это ошеломляющее изображение было запечатлено в саду за пределами Парижа, но для всех целей и задач оно могло бы сойти за картину Моне.
Отец движения импрессионистов Клод Моне стремился исследовать чувства, которые природа может вызвать, концентрируясь на структуре холста и танце света на всех его картинах. Эта фотография с массивами золота, богатой осенней текстурой и живописной симметрией требует полной оценки, прежде чем зритель сможет решить, принадлежит ли она музею или снимкам с камеры.
Фотограф, который запечатлел это изображение в Shutterstock, — Дмитрий Зимин.Зимин, талантливый фотограф, работающий в области натюрморта и образа жизни, собрал эклектичное произведение.
,Откуда вы знаете, делаете ли вы плохие фотографии или действительно уродливы и отрицаете это?
Вы когда-нибудь фотографировали себя, когда выглядели великолепно, и обнаружили, что на фотографии вы выглядите ужасно?
Стоит ли доверять фотографии объективной правде?
На самом деле: нет. Вы не должны.
Вы не похожи на ваши худшие фотографии.
Вот почему.
Реальная жизнь прощает больше, чем картинки
через GIPHY
Камеры не фиксируют людей точно так, как они выглядят в реальной жизни.
Как подробно объясняется на , ты выглядишь иначе в картинках, чем в реальной жизни? Да, и вот как , наши камеры видят вещи иначе, чем наши глаза.
Короче говоря, важно понимать, что наше видение прощает. Фотографии, напротив, очень резкие.
Наш мозг естественным образом фильтрует то, что мы видим в реальной жизни, как фотошоп в реальном времени.
Таким образом, нелестная фотография высветит ваши недостатки гораздо дальше, чем они выглядят в реальной жизни.
Анонимный комментатор форума объяснил, что она понимает это, сказав:
Мой любимый эксперимент по самооценке — сидеть на своем зеркале в ванной с включенной камерой телефона. Я мог видеть, как я выгляжу в зеркале, и одновременно видеть, как я выгляжу на экране камеры, и видеть, как они различаются. И это был не только я! Я мог видеть, как свет, видимый через камеру, по-разному касается моего носа и скул и т. Д.
Хороший внешний вид на фотографиях — это в основном вопрос мастерства (приобретается на практике)
Конечно, там — это такая вещь, как более или менее фотогеничное лицо. Более наклонные элементы (например, Жизель Бундхен), как правило, легче используют свет и фотографируют более последовательно, чем округлые. Тем не менее, многие люди с округлыми чертами лица (например, Крисси Тейген) все же могут делать феноменальные снимки.
Как? Практика.
На самом базовом уровне хорошо выглядеть на фотографиях — это в основном вопрос мастерства. Речь идет об обучении использованию света и углов в ваших интересах.
Он имеет , что-то вроде , как вы выглядите, но это только половина.
Это противоречит тому, что думает большинство людей. Большинство людей думают, что они либо красивы, либо нет, либо у них есть «ген селфи», либо нет.
То, что они не видят, — это тысячи попыток (например, тонны практики, проб и ошибок), которые потребовались кому-то, чтобы так хорошо выглядеть на всех своих снимках.
Вы не можете просто держать телефон перед собой, сделать одно случайное селфи и ожидать, что он будет хорошо выглядеть.
через GIPHY
Instagram против реальной жизни против того, как люди видят тебя в реальной жизни
Изображения «Instagram против реальной жизни» — растущая тенденция среди молодых женщин-инстаграммеров, и многие из наших фаворитов принадлежат Саре Пухто.
Финская двадцатилетняя девушка — бывший фитнес-инстаграммер — использовала для документирования своих тренировок, правильного питания и впечатляющего телосложения в Instagram.
Тем не менее, она все больше разочаровывалась в нереалистичных образах фитнеса, в том числе и в своем собственном.
Желая миру осознать, что модели Instagram не всегда выглядят как их лучшие снимки, она начала регулярно публиковать такие фотографии:
Сравнения фотографий, подобные этим, показывают, сколько навыков и усилий идет на каждый снимок в фиде модели Instagram.
Однако неверно утверждать, что фотографии Insta не совсем похожи на человека, а нелестные фотографии — это то, как они выглядят в реальной жизни.
С точки зрения того, как вы выглядите для других людей в вашей повседневной жизни, гораздо точнее сказать, что люди выглядят как водоворот их наиболее идеально поставленных и наименее лестных снимков.
Итак, если вы потратили время и силы на то, чтобы сделать абсолютно убийственную фотографию, вы, вероятно, не будете выглядеть идеально и безупречно лично, а также не так уютно, как ваши худшие кандидаты.
Плохой селфи или просто некрасивый?
В Photofeeler мы слишком хорошо знаем, что картинка не показывает просто , как вы.
Тем не менее, большинство людей ходят вокруг, думая, что каждая их картина изображает «правду». Что если они получают плохой результат на Фотофилере, это потому, что они безобразны.
Напротив, как показано в , ты выглядишь иначе в картинках, чем в реальной жизни? Да, и вот как , наши камеры работают не так, как наши глаза, что приводит к «искажению селфи», оптическим иллюзиям, возникающим при переходе от 3D к 2D, переоцененным недостаткам и многим другим.
Чтобы определить, как вы выглядите для других людей в своей повседневной жизни, вам нужно будет сделать множество разнообразных снимков, а затем представить, что все они вместе составляют наиболее точное представление.
Чтобы по-настоящему получить разнообразные снимки, которые показывают весь спектр того, на что вы похожи, вам нужно регулярно практиковать фотографирование в течение всей жизни, а не только когда вы одни в своей спальне и нужна новая картинка для Tinder.
Теперь, если вы регулярно тренировались фотографировать себя, тестировали много разных снимков на Фотофилере, и все они по-прежнему плохо набирали, и , вы могли бы попытаться изменить что-то в своем внешнем виде — например, обновить одежду или прическу.
Но радикально изменить то, как ты выглядишь, редко требуется, чтобы получить значительно лучшие снимки.
Если бы больше людей знали все, что мы только что обсудили, я подозреваю, что мы перестанем бить себя за каждую плохую картину. Вместо этого мы могли бы начать понимать, что делать хорошие фотографии — это искусство, которое требует времени, чтобы овладеть им.
Точно узнайте, как вы попадаете на фотографии с помощью Photofeeler. Это бесплатно для использования здесь. 🙌
,Вот как выглядит мир для слепых
Каково быть дальтоником: завораживающие изображения показывают, как мир кажется людям с состоянием
- Каждый десятый человек страдает дальтонизмом, состоянием, которое делает мир более скучным Дальтонизм — это протанопия, дуэтеранопия, тританопия и ахроматопсия. все цвета, доступные человеческому глазу
Abigail Beall для Mailonline
Опубликовано: | Обновлено:
Реклама
Примерно один из 20 человек страдает дальтонизмом, состоянием, которое может сделать мир более унылым.
Но людям, которые этого не делают, может быть трудно представить, как выглядит «дальтоник».
Теперь новые изображения, выпущенные из Colblindor, блога Даниэля Флюка из Цюриха, дают представление о том, как на самом деле выглядят люди, страдающие дальтонизмом.
Прокрутите вниз для видео

Людям с протанопией не хватает длинноволновых чувствительных колбочек сетчатки, необходимых для распознавания и различения цветов в зеленом, желтом и красном спектрах.Дуэтеранопия затрагивает ту же часть спектра, но у пациентов отсутствуют срединно-волновые конусы сетчатки, поэтому различия могут быть более выраженными. Полная дальтонизм заставляет людей видеть все в черно-белом виде и представляет собой расстройство зрения, которое поражает одного из каждых 33 000 человек. не особенно хорошо
ЦВЕТНАЯ СЛИВНОСТЬ
Приблизительно каждый 20-й человек страдает дальтонизмом, состоянием, которое делает мир более унылым.
По данным NHS, он затрагивает 1 из 200 женщин в мире и 1 из 12 мужчин.
Существует четыре вида дальтонизма, известные как протанопия, дуэтеранопия, тританопия и ахроматопсия.
Сетчатка глаза имеет два типа светочувствительных клеток; палочки и колбочки.
Оба находятся слой позади вашего глаза, который обрабатывает изображения.
Стержни работают в условиях низкой освещенности, но колбочки работают при дневном свете и отвечают за цвет. Люди с дальтонизмом имеют проблемы с колбочками в сетчатке.
Хотя многие пациенты знают, если они имеют значительную форму состояния, некоторые могут не осознавать, что их восприятие цвета не особенно хорошо.
Существует четыре вида дальтонизма, известные как протанопия, дуэтеранопия, тританопия и ахроматопсия.
Сетчатка глаза имеет два типа светочувствительных клеток; палочки и колбочки.
Оба находятся слой позади вашего глаза, который обрабатывает изображения.
Стержни работают в условиях низкой освещенности, но колбочки работают при дневном свете и отвечают за цвет.
Людям с протанопией не хватает длинноволновых чувствительных колбочек сетчатки, необходимых для распознавания и различения цветов в зеленом, желтом и красном спектрах.
Поражает от 1 до 5 процентов мужчин и примерно 0,1 процента женщин.
Дуэтеранопия затрагивает ту же часть спектра, но у пациентов отсутствуют срединные волны сетчатых колбочек, поэтому различия могут быть более выраженными.
Он испытан таким же количеством людей, что и протанопия.

Приблизительно каждый 20-й человек страдает дальтонизмом, состоянием, которое делает мир более унылым местом для наблюдения.Но если у вас нет этого состояния, может быть трудно представить, как мир выглядит чужими глазами. Изображены четыре различных типа дальтонизма и то, как они выглядят для людей, которые страдают от этих вариантов состояния
Между тем, люди с дальтонизмом, который влияет на систему коротковолнового конуса, имеют так называемую тританопию.
Это второй самый редкий вид, затрагивающий 0,003 процента мужчин и женщин, и тританопы путают светлый синий с серым, пурпурный с черным, средне-зеленый с синим и апельсин с красным.
Последствия нарушения цветового зрения можно классифицировать как легкие, средние или тяжелые.
Полная дальтонизм заставляет людей видеть все в черно-белом виде и является расстройством зрения, которое поражает одного из каждых 33 000 человек.
Этот тип монохроматии, называемый ахроматопсией, встречается редко и является наиболее тяжелой формой дальтонизма.
Данные по осознанию дальтонизма предполагают, что примерно 40 процентов дальтоников, покидающих среднюю школу, не знают, что они дальтоники, в то время как 60 процентов пациентов испытывают много проблем в повседневной жизни.
ТИПЫ ЦВЕТНОЙ СЛИПНОСТИ

Цифры из осведомленности о дальтонизме говорят о том, что примерно 40% дальтоников, окончивших среднюю школу, не знают, что они дальтоники
Протанопия
Протанопы чаще всего путают:
1. Черный со многими оттенками красного
2. Темно-коричневый с темно-зеленым, темно-оранжевым и темно-красным
2. Немного блюза с некоторыми красными, пурпурными и темно-розовыми
3.Середина зелени с некоторыми апельсинами
Дейтеранопия
Скорее всего, путаница с дейтеранопами:
1. Середина с зеленью
2. Сине-зеленая с серым и средним розовым цветом
3. Яркая зелень с желтыми
4. Бледно-розовые со светло-серым
Тританопия
Тританопсы чаще всего путают:
1. Светло-голубые с серыми
2. Темно-пурпурные с черными
3. Средне-зеленые с голубыми
4. Апельсины с красными
Ахроматопсия
Видны только черно-белые

Второй самый редкий вид дальтонизма — влияет на 0.003 процента мужчин и женщин — тританопы путают светлый синий с серым, пурпурный с черным, средне-зеленый с синим и апельсин с красными не зная, что они дальтоник
.О
Как вы думаете, как вы выглядите, по сравнению с тем, как вы на самом деле выглядите — это макросерия изображений из двух частей, иллюстрирующая несоответствие между собственным представлением о себе и внешним восприятием физической привлекательности. Первое изображение обычно приближается к самоидеализированному изображению субъекта, выполняя определенное действие в позитивном или привлекательном виде, за которым следует второе изображение, изображающее субъекта нелестно.
Происхождение
20 июля 2008 года пользователь FARK Control_this прокомментировал в теме о состоянии казино в Иллинойсе фотографию молодой женщины, играющей в игровой автомат, за которой следует фотография пожилой женщины, курящей во время игры на другом игровом автомате.
Прекурсор
До публикации мема в Интернете сатирический журнал Judge опубликовал комикс в 1921 году, который поразительно похож на шаблон мема (см. Ниже).
Многоперспективный подход в визуальных шутках ранее был адаптирован другими мемами шаблонов опросов, такими как «Как люди смотрят на меня после того, как я говорю, что я икс» и «То, что я наблюдал, то, что я ожидал, то, что я получил».
Спред
26 декабря 2009 года в фотоблоге для вечеринок «Извините, что я пропустил вашу вечеринку» была опубликована статья под названием «Несоответствие самосознания: танцы», в которой сравнивалась фотография молодой женщины в клубе с большим количеством людей с неловко выглядящей молодой Человек танцует один в своей спальне.
29 июля 2010 года в интернет-юмористическом блоге Cracked была опубликована статья под названием «10 стилей усов, которые должны быть остановлены», в которых представлены фотографии различных стилей волос на лице с усами, «как вы думаете, на что вы похожи» и «как это действительно выглядит» версии (слева внизу). 15 декабря пользователь Tumblr itsjudytime сделал реблог с сообщением под заголовком «как ты думаешь, как ты выглядишь, когда парень видит тебя», в котором сравнивался анимированный GIF-ролик актрисы Селены Гомез с соблазнительным лицом, а ее волосы развевались на ветру, с анимированным GIF-изображением перетяните волосы королевы, дующие с ее ложными ресницами, развевающимися в нелестной манере (показанный справа ниже).
Первым постом Reddit, использующим этот трофей, был гневный комикс о принятии душа, представленный 23 марта 2011 года; Это осталось относительно незамеченным, заработав всего 4 балла. Четыре месяца спустя Redditor obvnotlupus представил пост в подредакте / r / pics под названием «Как я думаю, я выгляжу… (неизбежная правда о зеркалах)» с двумя перевернутыми по горизонтали версиями своего автопортрета для комедийного эффекта. Он попал на первую страницу с 11 800 ответами и 1382 баллами в целом. В период между этой публикацией и апрелем 2012 года было опубликовано примерно шестьдесят других тем Reddit, использующих технику двух панелей.
31 мая 2012 года Buzzfeed опубликовал пост под названием «Что вы думаете, что вы похожи на то, на что вы действительно похожи», в котором была опубликована сводка мемов. 29 апреля 2014 года Buzzfeed опубликовал более конкретную сводку новостей под названием «Как ты думаешь, что ты выглядишь пьяным против того, как ты на самом деле выглядишь».
Известные примеры
Тропа продолжает распространяться на таких сайтах, как Tumblr, FunnyJunk и блог на одну тему. Ожидания Vs.Реальность в виде макроса изображения. Общими темами, часто упоминаемыми в этих макросах изображения, являются волосы на лице, мужские костюмы, фотографии лица утки, модные аксессуары и волосы, дующие на ветру. Тропа также обсуждалась в каталоге мыслей в январе 2012 года.
Реклама Vs. Реальность
15 апреля 2007 г. в личном блоге The West Virginia Surf Report начали публиковать фотографии, сравнивающие пункты меню, изображенные в американских рекламных объявлениях быстрого питания, с купленными версиями этих предметов (внизу слева), подчеркивая отсутствие соответствия между тем, что можно ожидать, и тем, что получает.Блог был показан на сайтах гурманов Chowhound и ThisPiggy, а также на блоге здоровья Starling Fitness. В 2008 году Pundo3000 начал сравнивать продукты питания, специфичные для Германии (внизу справа), аналогичным образом. Эти фотографии были собраны в книгу в марте 2012 года.
Американский блоггерДарио Д. начал еще один проект быстрого питания в конце 2010 года, превратив свои выводы в изображения в стиле инфографики. Эти фотографии были опубликованы в Buzzfeed, Business Insider, Examiner.com и блоге культуры Bored Panda.
В объявлении
В сентябре 2011 года датская автобусная компания Movia наняла агентство Bocca Copenhagen для создания Byturen.com, где было представлено интерактивное видео, где пользователь мог навести курсор мыши на сцену в баре, чтобы увидеть разницу между тем, как люди думают, что они выглядят по сравнению с тем, как они на самом деле выглядят в состоянии алкогольного опьянения. С тех пор сайт был удален, но версия YouTube все еще доступна.
«День Звездных Войн» Спор Шутка
В рамках празднования Дня Звездных Войн 4 мая 2014 года австралийская компания по производству одежды Black Milk из Брисбена, специализирующаяся на одежде и лицензионных товарах в стиле гиков, поделилась рядом макросом с фотографией условно привлекательная женщина в купальнике на тему «Звездных войн» с надписью «ожидание» и фотографией Эми Фарры Фаулер из The Big Bang Theory (в исполнении Майима Бялика) в домашнем костюме «Звездный путь» с пометкой «реальность» на их официальной странице в Facebook.
Вскоре после этого последователи компании на Facebook, а также поклонники Star Wars и The Big Bang Theory протестовали против того, что фотография подразумевает, что Фаулер (Бялик) не такой привлекательный или выглядит так, как она. неудачный результат. В течение 24 часов после публикации компания отреагировала на негативную реакцию, удалив оригинальную запись, а также массу комментариев, критикующих шутку, со своей страницы в Facebook. За этим быстрым действием последовало официальное заявление, объясняющее, что сотрудники считают, что шутка была невинной, а обиженные не должны просто покупать свои продукты, говоря:
1.Это шутка, безобидная, не ненавистная. Нам нравится шутить и подшучивать над собой. Будь крут с этим2. Да, мы удалили много негативных комментариев, потому что чувствовали, что они перешагнули отметку! Мы постоянно слышим от наших клиентов, что наша фан-страница стала местом жалоб и нападок, и им это надоело! Таким образом, мы работаем над тем, чтобы сообщать, что жалобы и негативы все время не в порядке. Мы имеем на это право, и люди должны это уважать.
3. Да, людей снова забанили, потому что мы чувствовали, что они перешагнули отметку и неуважительно относились. Вы можете поделиться своим мнением, но не можете атаковать наших сотрудников. Мы их слишком любим. Конечно, многие люди говорят, что их забанили за то, что они «с уважением делятся своим мнением». Но у каждой истории есть две стороны.
4. Мы ЛЮБИМ наших клиентов, но да, мы считаем, что если вы действительно расстроены тем, как мы что-то делаем, вы, вероятно, должны двигаться дальше, а не быть частью того, что мы делаем.Это не значит, это просто, чтобы спасти всех нас больше разочарования!
5. «Почему ты не можешь просто признать свою неправоту и извиниться. Это так сложно?» Потому что у нас есть целостность. Потому что мы не сделали ничего плохого, поэтому нам не за что извиняться! Мы отстаиваем то, во что верим. У людей могут быть разные мнения о том, что хорошо, а что неправильно, верно?
Это заявление было впоследствии также удалено. 6 мая Кэмерон Паркер, глава отдела продаж и маркетинга компании, извинился:
«« Цель мема состояла в том, чтобы поделиться личным опытом, и никогда не хотел никого обидеть.Мы неправильно оценили грань между смешным и оскорбительным и недооценили истинное влияние, которое это могло бы оказать. Я сожалею. Я действительно надеюсь, что любой ущерб, нанесенный за последние несколько дней, может быть восстановлен ».




Описание уклейки